Calvary Cemetery
10000 Miles Ave, Cleveland, Ohio, USA (1893-current)
Calvary Front Entrance, Winter
Calvary Cemetery is one of the largest Catholic Cemeteries in the state of Ohio, with well over 290,000 buried there. Established in 1893 on the outskirts of the town and overlapping into Garfield Heights, it continues to serve the wider (non-denominational) community today. If you have an immigrant to Cleveland from the early 1900's, they were likely Catholic and they are likely buried here. Highland Park is the city-owned cemetery on the East Side that served non-Catholics in the early 1900's.
Section and Plot Maps
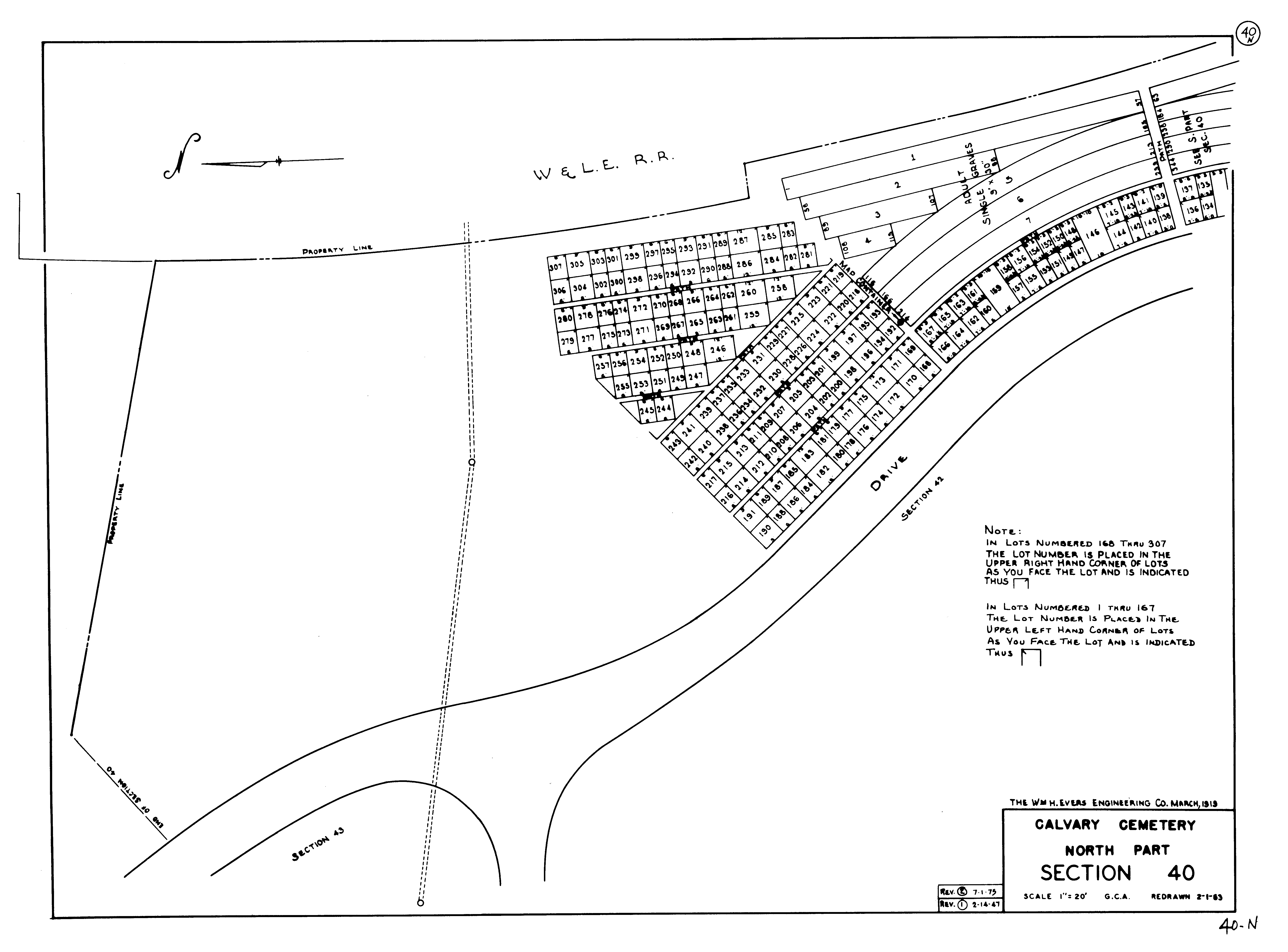
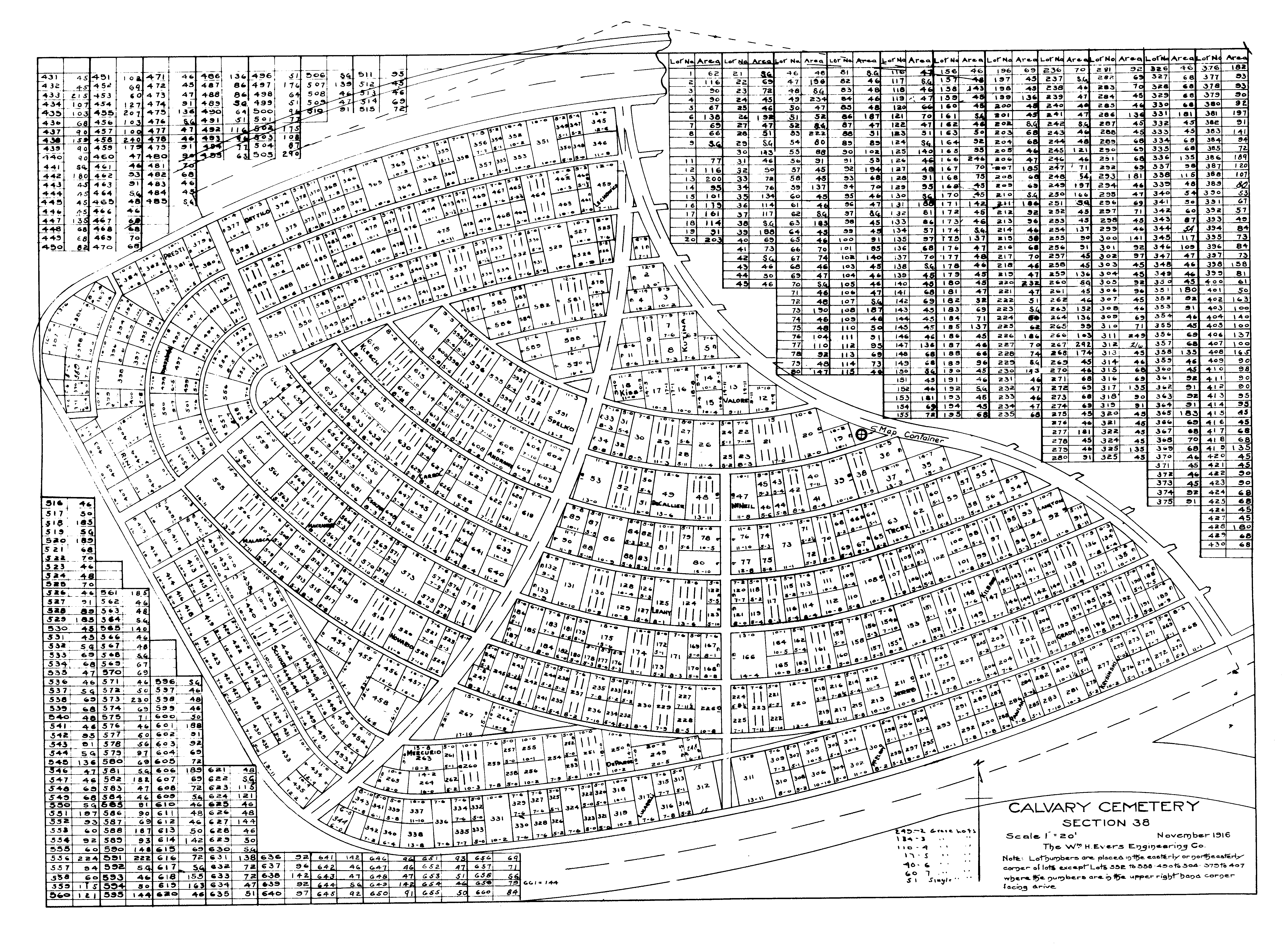
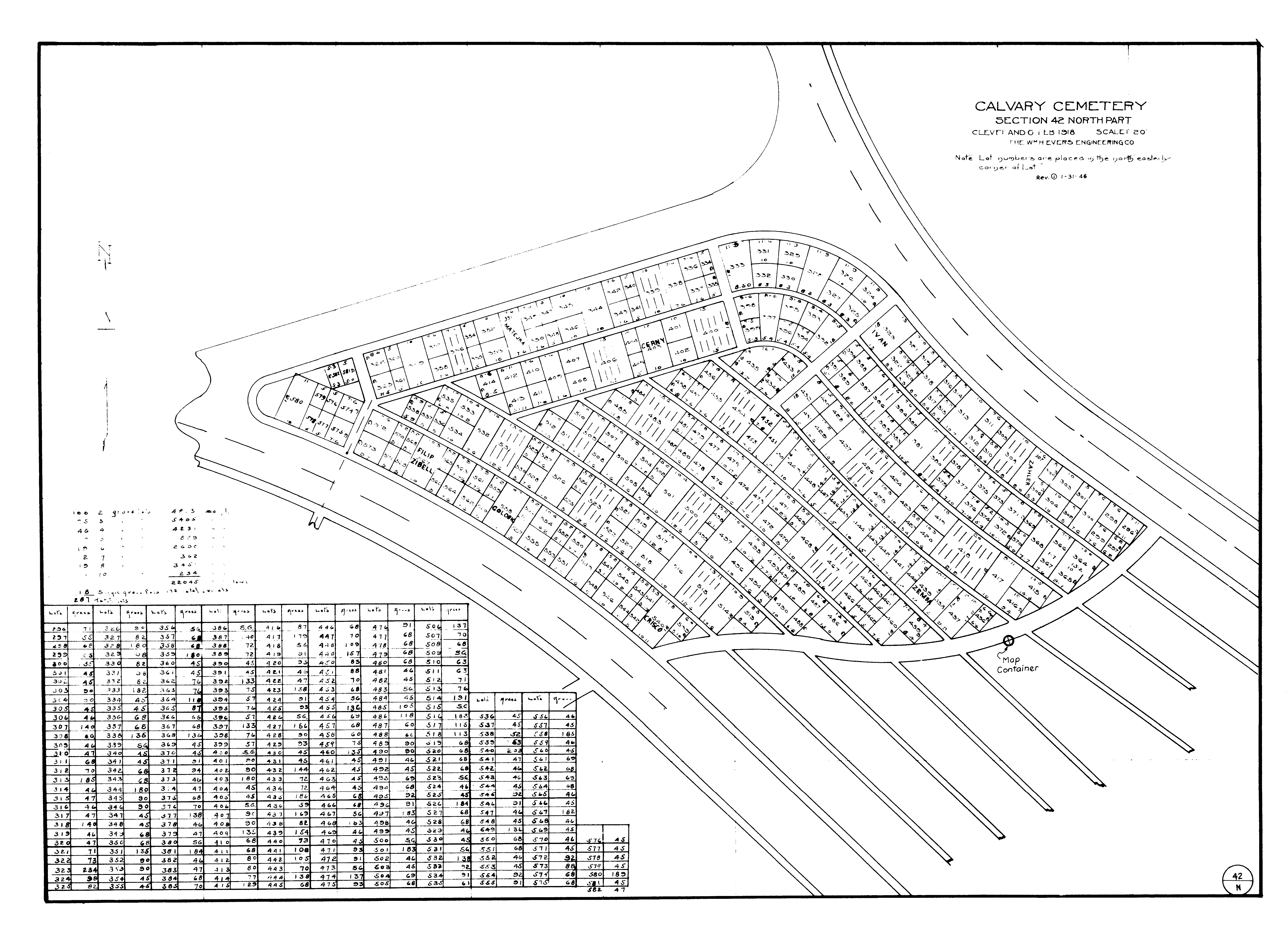
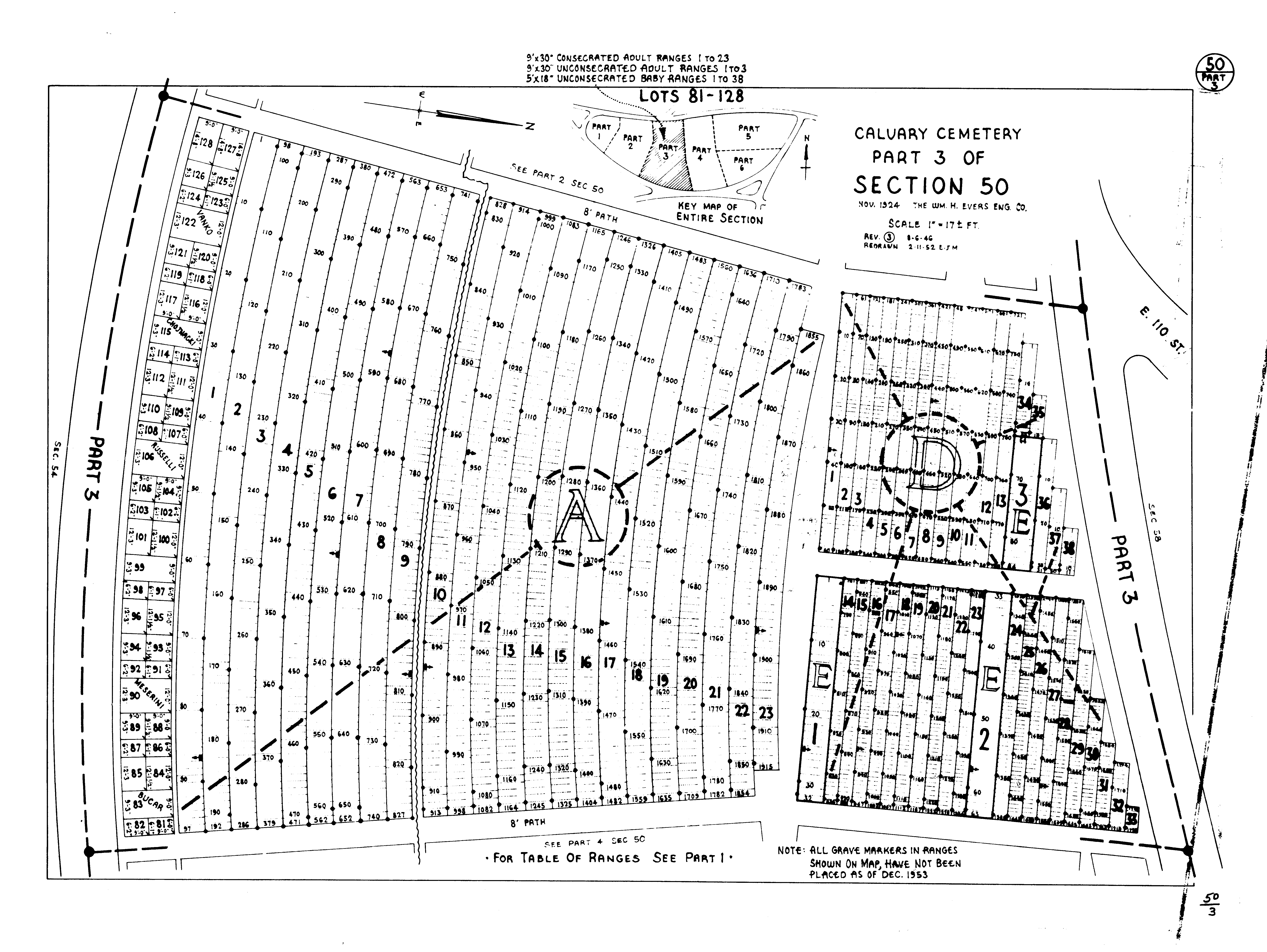
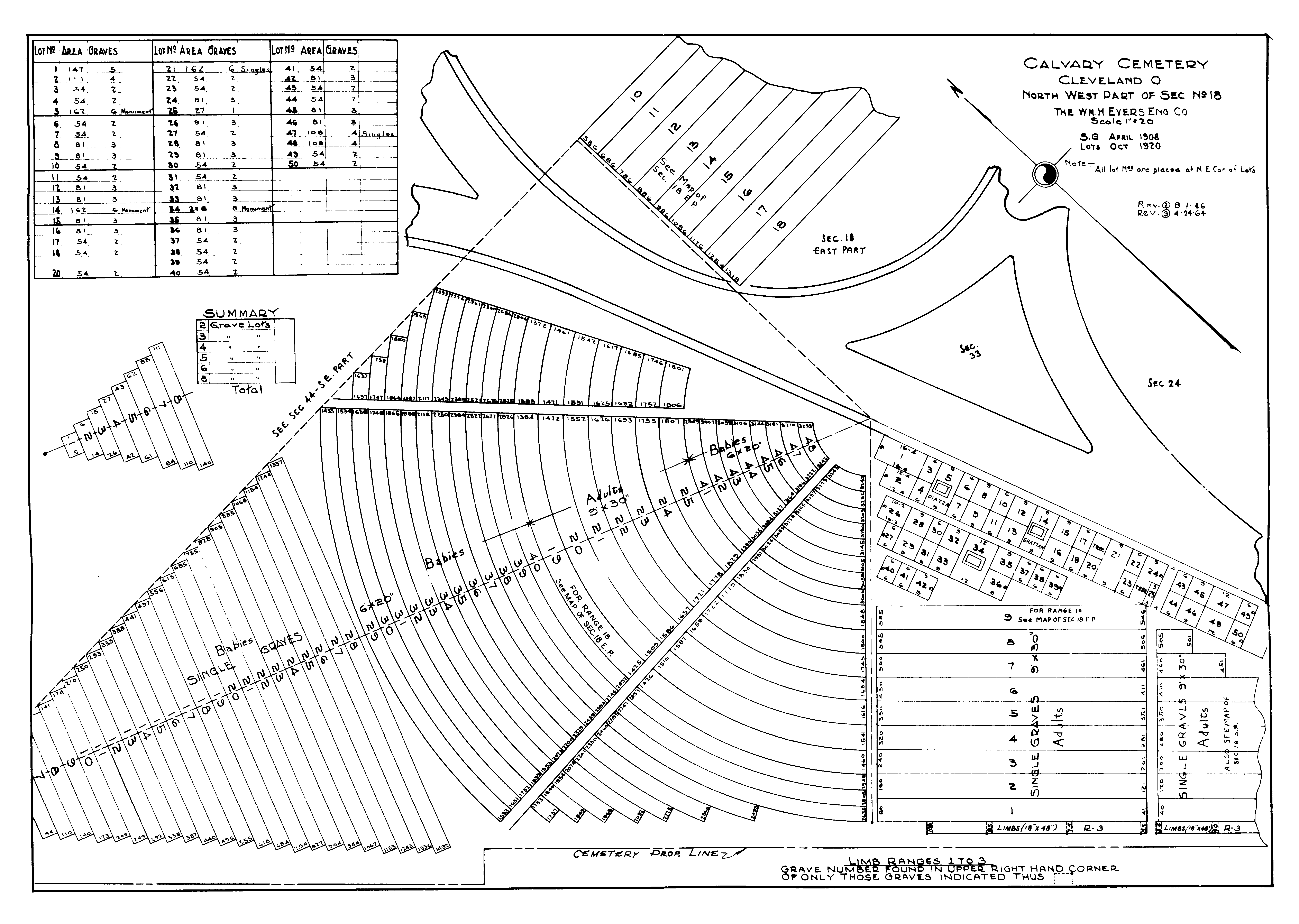
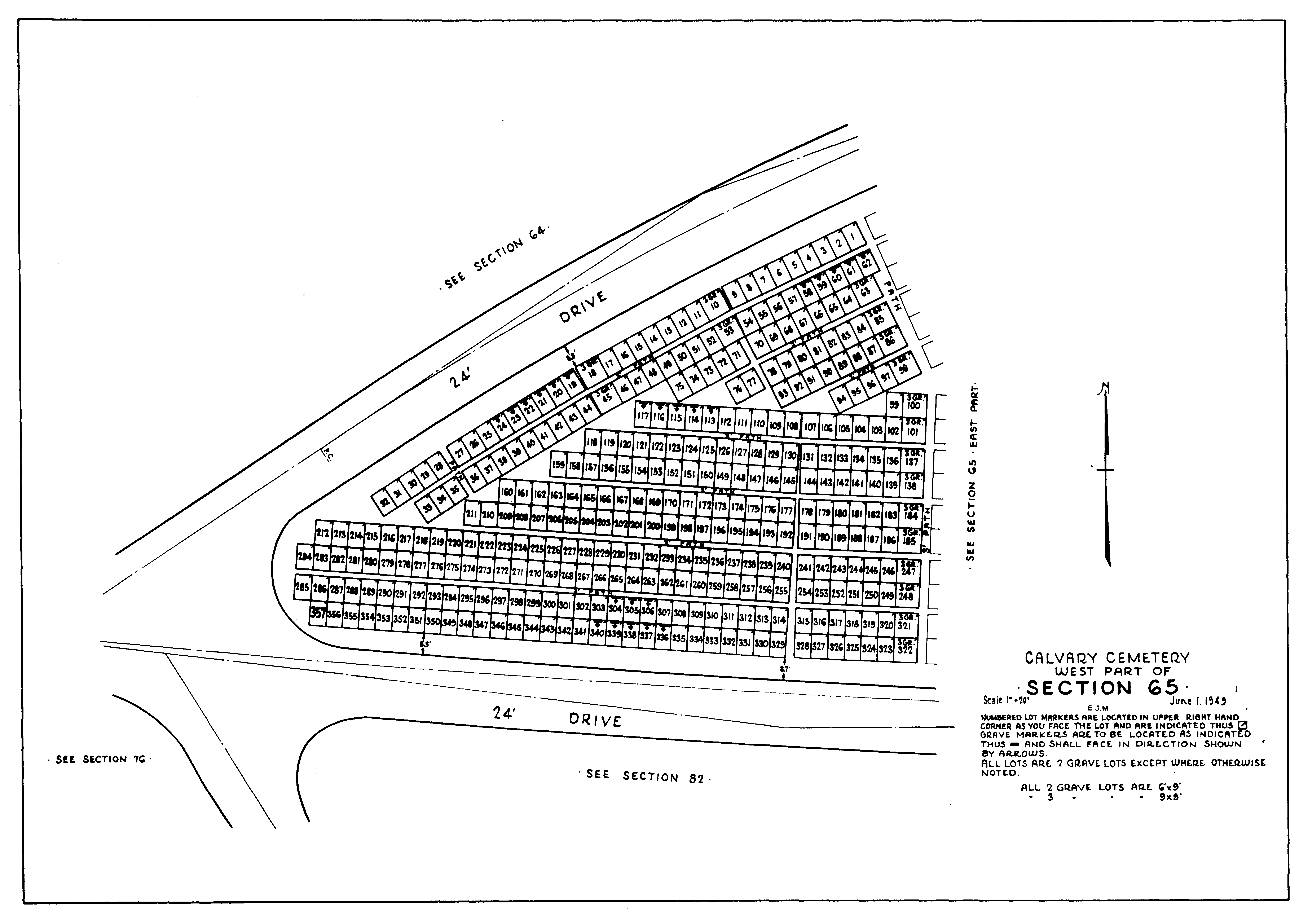
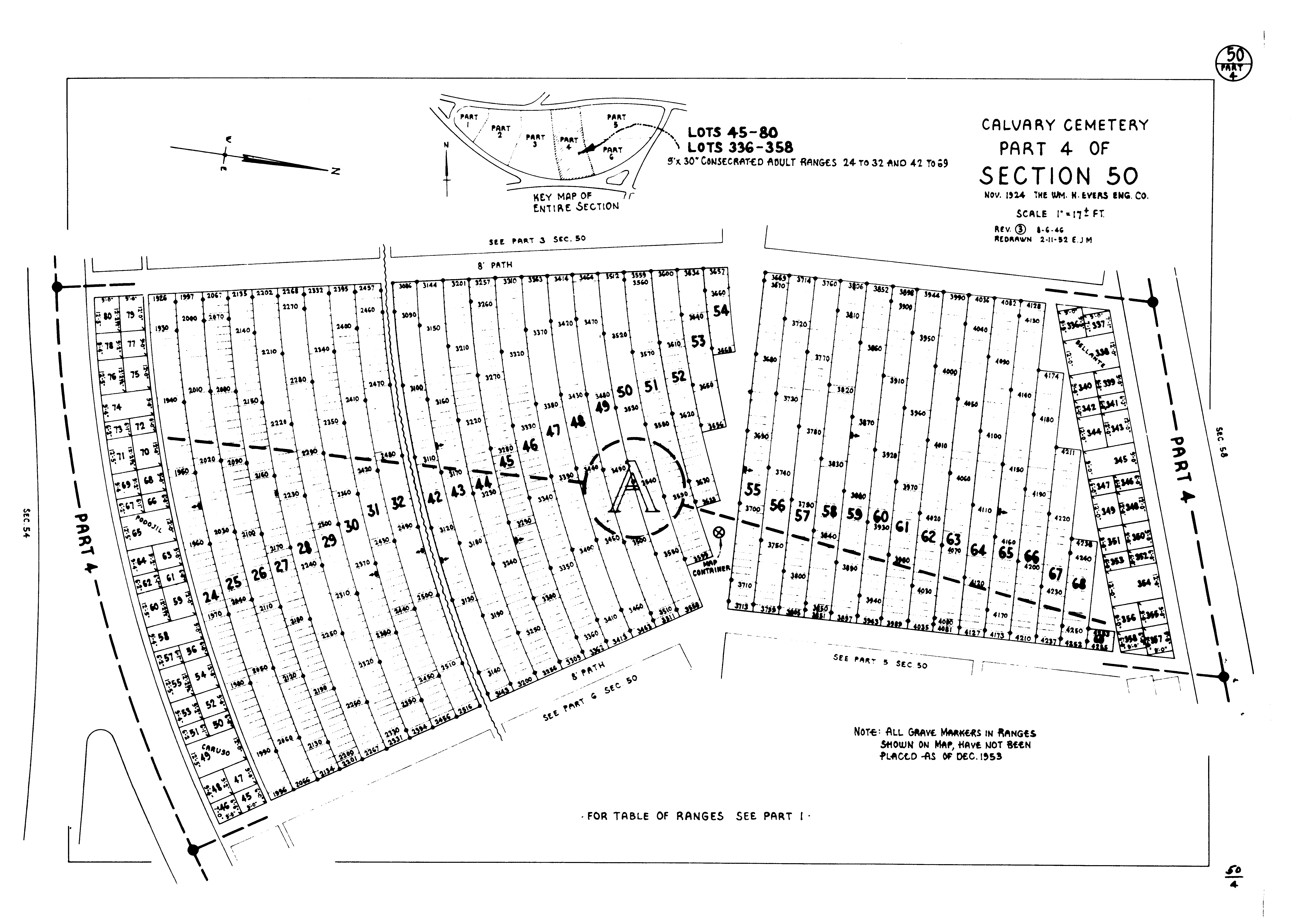
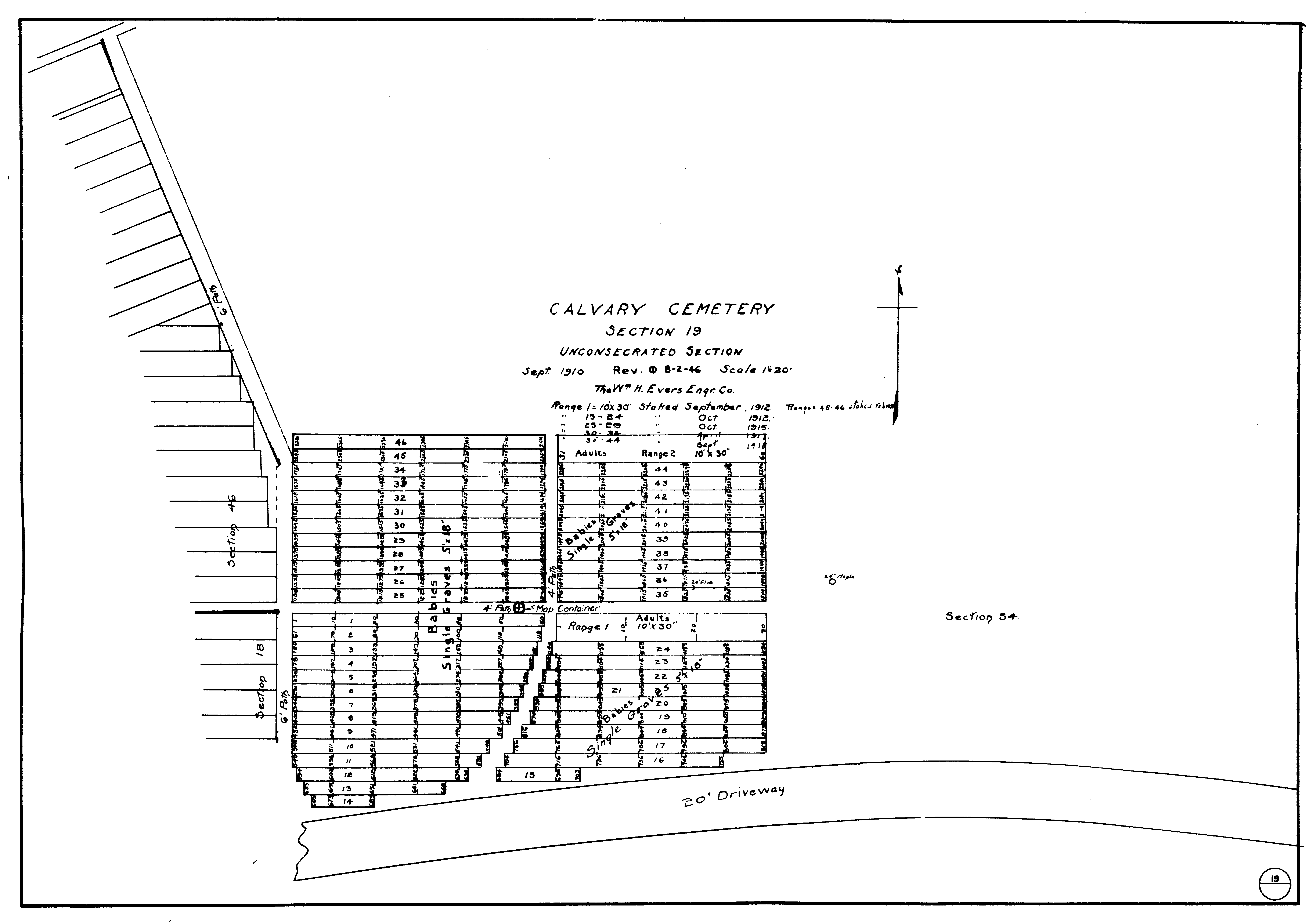
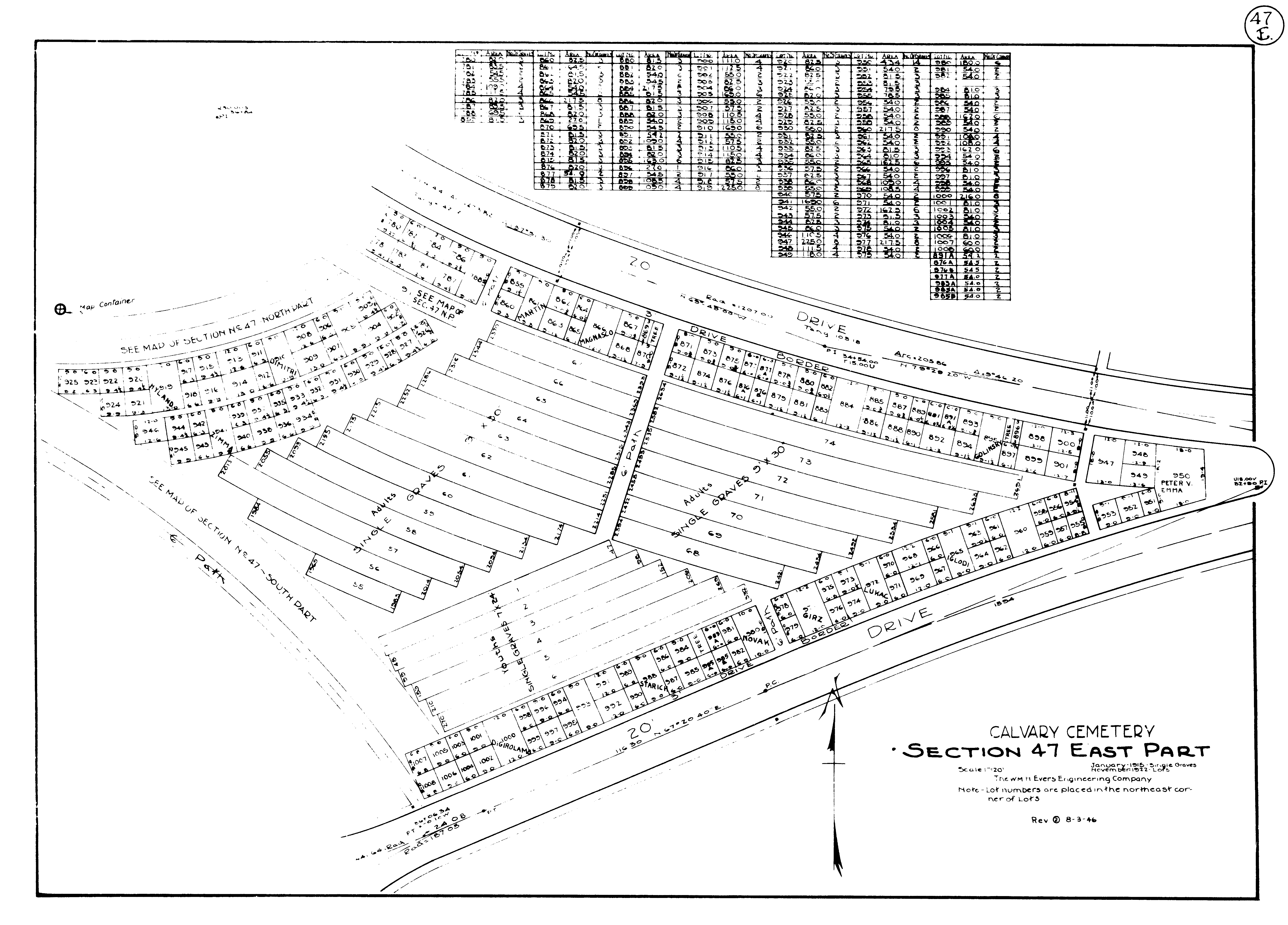
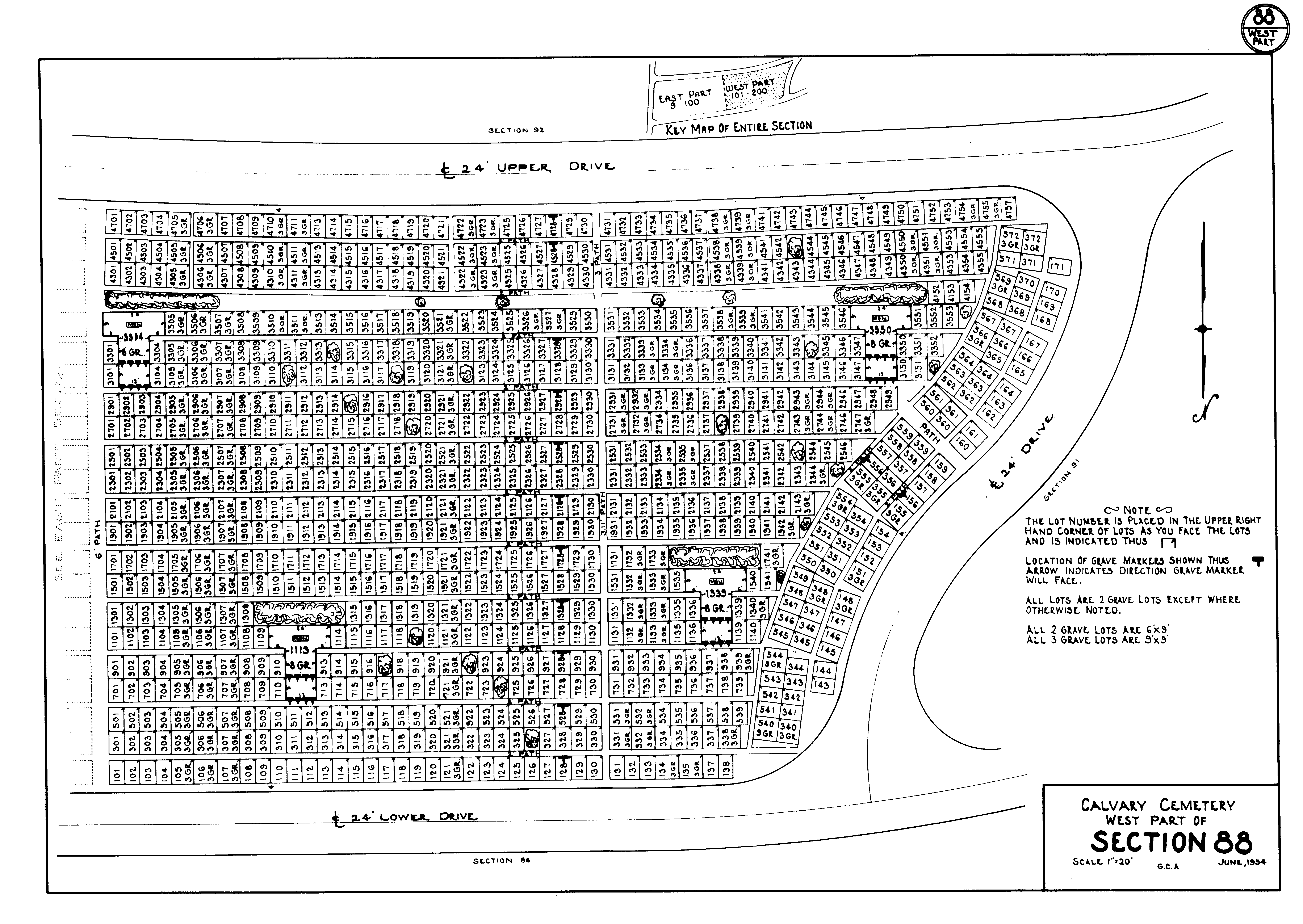
Calvary has 115 sections with usually thousands of plots per section. A plot may have 1 to 10 or more graves. Sometimes plots are referred to as lots. Section 1 has the earliest graves of the cemetery. Some sections are special and spanned more years, like section 19 for the unconsecrated babies or section 50 for the row graves during the influenza epidemic.Color Section Map | Grey Section Map | ||||||||
Sections are often large enough to require multiple plot maps. As a plot number is unique to a section, check all plot maps in a section for the plot number. Multiple maps in a section are usually designated as North, South, West, East, Middle or Center with similar variants ())NorthEast((, ))WestCenter((, and so on). Section 50 has parts 1 through 6 as the designation instead.
| PLOT MAPS | |||||||||
| 01 | 02 | 03: e w | 04: e w | 05 | 06 | 07 | 08 | 09 | 10 |
| 11 | 12: m | 13 | 14 | 15 | 16 | 17 | 18: e nw | 19 | 20 |
| 21: e w | 22 | 23: n s | 24 | 25 | 26 | 27 | 28 | 29 | 30: ne s w |
| 31 | 32 | 33 | 34 | 35 | 36 | 37 | 38 | 39 | 40: n s |
| 41 | 42: n | 43 | 44: n se | 45 | 46 | 47: s n e w | 48 | 49 | 50: 1 2 3 4 5 6 |
| 51 | 52 | 53 | 54: m | 55: e w n | 56 | 57 | 58 | 59: n m s | 60 |
| 61: e w | 62: e w | 63: e w | 64 | 65: e w | 66 | 67 | 68 | 69 | 70 |
| 71 | 72 | 73: ne | 74 | 75 | 76 | 77: e m w | 78 | 79 | 80: e w |
| 81: e w | 82 | 83 | 84 | 85: e w | 86 | 87 | 88: e w | 89 | 90 |
| 91: s m w | 92 | 93 | 94 | 95 | 96 | 97 | 98 | 99 | 100 |
| 101 | 102 | 103 | 104 | 105 | 106 | 107 | 108 | 109 | 110 |
| 111 | 112 | 113 | 114 | 115 | |||||
Often, one has the memorial / mass card that lists the section and plot number. The office can help find the plot on the map if you cannot. Otherwise, the office limits how many look-ups to get the section / plot of a person. It is roughly meant to be only three per day/week for each patron. Once you find a grave, get an accurate GPS coordinate to help with future re-discovery and submit it with the photo of the tombstone to your favorite site.
If you obtain a plot map not available here, please provide a B&W, 600dpi PNG or TIFF CCITG4 compressed format scan to help others that may follow you.
External Links
Calvary CemeteryCleveland Catholic Cemeteries
Encyclopedia of Cleveland History entry
Wikipedia entry
Find-a-Grave entry
Interment.net entry